Розов син Нил - характеристики на сортовото цвете
Съдържание:
Rose Blue Nile е създаден във Франция през 1981 г. от Delbar. През своята кратка история, отглежданият сорт е многократно награждаван с различни международни награди.
Описание на сорта
Въпреки името, розата има лилаво-син цвят. Пъпката на растението е доста голяма, в отворено състояние може да достигне 12 см в диаметър и поради това изглежда страхотно на тънки и дълги стъбла. Като правило едно цвете расте на дръжка, рядко броят достига четири парчета. Възрастен храст може да нарасне до 1,5 м височина и малко над 1 м ширина. Но крайният размер на растението зависи от метеорологичните условия на района, където е засадено. Ако не е необходимо да подрязвате в горещ климат, препоръчително е да подрязвате стъблата на височина 75 см в студени райони.
Синият Нил принадлежи към семейството на хибридни чаено-сини рози. И благодарение на чаения си аромат с нотки на цитруси и плодове, както и поради своята непретенциозност, той успя да зарадва много градинари. Розата цъфти два пъти от началото на лятото до края на септември и може да се използва като градинска декорация, като пълнеж в ландшафтния дизайн и като отсечено цвете.
Преди да вземете решение за избор, трябва предварително да се запознаете с неговите предимства и недостатъци. Плюсовете включват:
- доста рядък цвят на пъпките;
- приятен и силен аромат;
- устойчивост на замръзване;
- отличен декоративен външен вид на храста, което му позволява да се използва широко в ландшафтния дизайн;
- способността да се режат цветя на букети;
- непретенциозен в грижите.
Недостатъците включват: голям брой тръни на стъблото, слаба устойчивост на различни заболявания, в региони със студена зима се изисква надеждно подслон за храсти, не обича дъждовното време.
Тъй като хибридът първоначално е бил отглеждан за тези цели, той е идеален за различни стилове на ландшафтен дизайн.
Основни изисквания за отглеждане
Възможно е да се отгледа роза от семена, но това е дълъг и сложен процес. Следователно, основният вариант ще бъде разгледан - покълването на разсад.
Появата на растение за възрастни ще зависи от качеството на посадъчния материал, така че изборът трябва да се вземе отговорно. При избора на разсад, на първо място, трябва да обърнете внимание на следното:
- ако има много дълги и бледи издънки, тогава растението може да е болно;
- кореновата система трябва да е добре развита;
- стъблото трябва да е здраво и да има подчертан зелен цвят;
- не трябва да има пъпки;
- на издънката трябва да има поне две стъбла.
За да може розата да цъфти добре, разсадът трябва да бъде подготвен предварително. Това се прави най-добре в началото на пролетта. За целта те трябва да се съхраняват в хладно помещение във влажна почва или пясък. При такива условия растенията изчакват май или юни (в зависимост от климатичните условия на региона) и след това трансплантират на открито. Земята трябва да бъде затоплена до 12 ° C. Не отлагайте трансплантацията, тъй като младото растение не понася добре топлината.
За да може хибридната чайна синя роза да се чувства добре на сайта, трябва предварително да подготвите площта за засаждане. По-добре е да изберете място, защитено от вятъра, но в същото време слънчево. Можете да засадите растение до всяка сграда или високи насаждения, с изключение на череши, круши, малини и планинска пепел. Розата не се разбира добре с тях.
Почвата трябва предварително да се разрохка и оплоди. За да може растението да пусне корени и да не умре през зимата, то трябва да бъде засадено през пролетта. По-близо до началото на зимата се препоръчва почвата да се наторява с хумус или оборски тор.
За правилното отглеждане на разсад трябва да се придържате към определена последователност за пресаждането му на открито. Дупката е подготвена в такъв размер, че когато растенията са потопени в нея, корените се чувстват свободни и не се огъват. След това там се изсипва смес от пясък, торове и пръст. Полученият слой е добре разлят с вода. Разсадът се поставя в дупка и се пълни. Почвата около засаждането се уплътнява и се прави малък пръстен пълнеж в кръг, така че водата да тече по-добре към корените. За да предпази долните пъпки от неприятни изненади, стъблото е допълнително заземено.
Грижа за растенията
При напускане трябва да вземете предвид някои нюанси.
Поливане
Розата от Син Нил трябва да се полива рядко, но старателно. Не се допуска изсъхване на земята. При стандартни метеорологични условия поливането се извършва с вода със стайна температура веднъж седмично. Един храст отнема около 5 литра вода. Когато лятото е горещо и сухо, поливането се увеличава. Водата трябва да се излива на тънка струя, така че кореновата система да не се повреди и течността да не попадне върху листата и пъпките, в противен случай върху тях може да се образува гъбичка.
Подхранване
През първата година след пресаждането в открит терен не се изисква оплождането на растението. На следващата година, след изрязването на цветето, почвата се пролива внимателно и се наторява. Трябва да внесете сухи минерални торове, които се смесват с почвата. След като горната превръзка се добави към земята, тя отново се полива и след това се добавя оборски тор или хумус. Освен това можете да оплодите розата, докато пъпките се затвърдят. По време на цъфтежа не е необходимо торене. Това може да се направи през есента преди зазимяване.
Подрязване и презасаждане
За да е здрава розата и да цъфти добре, тя се нуждае от навременна резитба. Има следните видове:
- пролетта. Преди процедурата храстът се изследва внимателно, клоните, които са замръзнали след зимата и счупените клони се отстраняват. При студен климат стъблата се отрязват до 70 см, при горещ климат - до 150 см;
- лятото. За да се улесни растежа на розата, изсъхналите цветя се отстраняват;
- есен. Счупените, повредени и твърде дълги стъбла се отстраняват и растението се подготвя за зимата.
За да може храстът да цъфти великолепно, препоръчително е да го пресаждате веднъж на всеки няколко години. Най-добре е да извършите тази процедура през април или септември. През лятото можете да трансплантирате растението в случай на спешност:
- ако цветето първоначално е засадено в рохкава почва, тогава кореновата система ще се издигне на повърхността и храстът може да умре;
- ако почвата е изключително изтощена и следователно розата не цъфти;
- когато храстът е нараснал твърде широко. В този случай е достатъчно да отрежете и трансплантирате част от растението.
Подготовка за зимата
Въпреки че този сорт роза има добра устойчивост на замръзване, цветето трябва да бъде покрито при твърде тежки студове. Оставащите след резитбата стъбла са покрити с дебел слой суха трева и листа; освен това те могат да бъдат покрити със смърчови клони. Ако зимата е много студена, тогава трябва да се направи рамка над храста и да се покрие с найлоново фолио.
Цъфтяща роза
Активният разцвет на Синия Нил настъпва от юни до ноември.През тези месеци розата цъфти обилно без прекъсване. Следва период на почивка. За да цъфти растението добре, то се нуждае от подходящи грижи.
Преди да започнат да се появяват пъпките, се извършва торене с калиево-фосфорни добавки. По време на формирането на цветето растението трябва да се подхранва с органични торове. Торове, съдържащи калий, сяра и фосфор, се внасят по време на фазата на цъфтеж, а с фосфор и азот - два пъти през есента. За да се подобри развитието на кореновата система, първите пъпки, които се появяват, се отрязват. По време на периода на цъфтеж розата се полива обилно.
Случва се, че въпреки всички мерки за грижа, растението все още не цъфти. Струва си да се разгледат основните причини, поради които пъпките не цъфтят:
- липса на хранителни вещества;
- излишък на азот в почвата;
- неправилно поливане;
- липса на осветление;
- неправилна резитба;
- вредители и болести.
Размножаване на розата от Син Нил
Размножаването на този сорт се извършва чрез резници. По-добре е да се събират резници веднага след първия цъфтеж. Осем сантиметрови клони с двойка листа се отрязват от централната част на стъблото. Долният разрез е направен косо, а горният е прав. За да може кореновата система да расте активно, преди засаждането, резниците се потапят за 20 часа в разтвор на натриев хумат или корен. След това време те се измиват с вода и се трансплантират в контейнер или на открито.
За субстрата се използва речен пясък или смес от пясък и торф. Резниците се засаждат под ъгъл до дълбочина около 2 см и след това се покриват с фолио. Разсадът се навлажнява няколко пъти на ден чрез пръскане. Ако всичко е направено правилно, тогава корените трябва да се появят след месец. След това филмът се отстранява и резниците се хранят с разтвор на карбамид в продължение на две седмици.
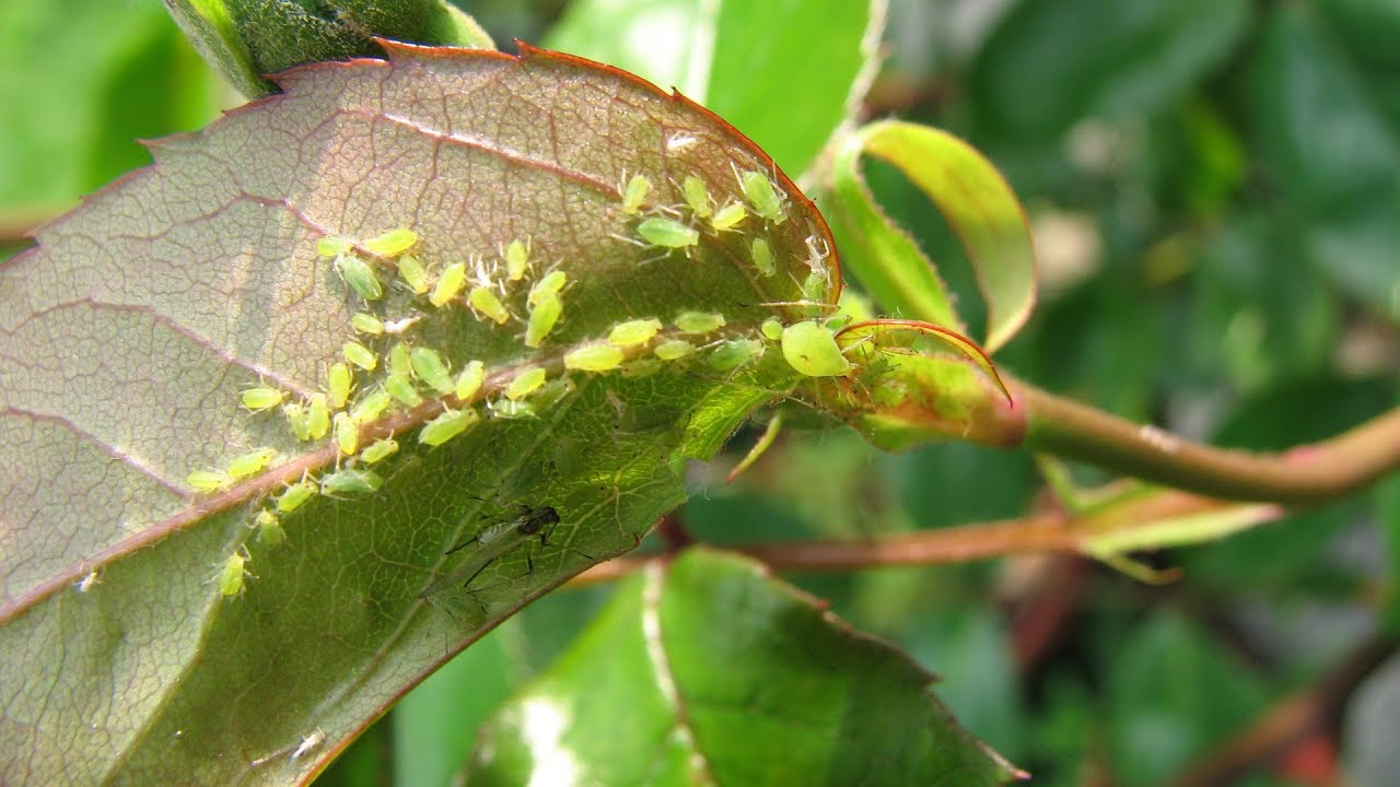
Болести и вредители
За да се предотврати излагането на розата от Син Нил на брашнеста мана и сиво гниене, достатъчно е да се предприемат превантивни мерки: през пролетта, когато се появят първите листа, храстът се напръсква със соден разтвор. Последваща обработка два пъти седмично до началото на юли.
Срещу зелените листни въшки добре ще помогне тинктура от сапунена вода върху пелин. Получената смес се вари и филтрира, след което растението се третира с получения разтвор веднъж седмично, докато паразитите изчезнат напълно.
Сорт Син Нил за любител. Необичайният цвят на пъпките е, разбира се, красив, но има и трудности при напускането. За да го изберете за засаждане или не, всеки решава сам. Във всеки случай, преди засаждането, трябва да прочетете описанието на сорта и да се съобразите с всички изисквания за отглеждане.










